Rum & Kök
Norra vägen 21C
Bygg ditt framtida hem!
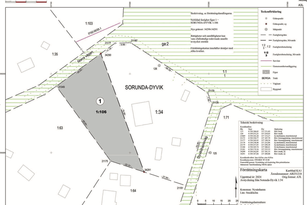
- Beskrivning- Plan tomt - Stor uppfart - Utanför detaljplan - Godkänt bygglov på det befintliga huset (se bilder) - Grävd brunn - Nära till vatten Denna fantastiska tomt på 1727 kvm erbjuder en unik möjlighet att skapa ert egna drömhem i ett fridfullt läge med naturen som närmsta granne. Beläget nära både skog och vatten omges tomten av vacker natur som inbjuder till långa promenader, cykelturer eller ett bad nere på stranden. Det finns även möjlighet att gå med i en bastuförening för att få tillgång till bastun nere vid vattnet. Lisö erbjuder även trevliga gårdsbutiker där du kan handla lokala produkter så som kött, honung, ägg m.m. Tomten är alldeles utmärkt för er som vill ha den lantliga känslan men samtidigt ha bra förbindelser till Stockholm. Tomten är belägen ca 30 minuter till Nynäshamn och 1 timma till Stockholm. Buss 856 trafikerar Lisö och går ifrån huvudvägen ca 3 minuter bort med bil. Välkommen att åka och titta på tomten när ni vill. Vill ni ha mäklare på plats kontakta ansvarig mäklare
- FaktaFastighet
sbeteckning NYNÄSHAMN SORUNDA-DYVIK 1:106ObjektstypTomtTypkodSmåhusenhet, tomtmarkAdressNorra vägen 21CPostnummer148 97PostortSorundaDistriktSorundaOmrådeLisöBoarea enligtLantmäterietTomtareal/mark1 727 kvmTomtareal enligtLantmäterietTotalarea1 727 kvmVattenGrävd brunnAvloppAvlopp saknas - KostnaderFastighetsskatt9 525 kr/år
Levnadskostnader
Välkommen att kontakta ansvarig fastighetsmäklare om du vill ha hjälp med att upprätta en boendekostnadskalkyl.
- Rättigheter & Belastningar
Gemensamhetsanläggning
NYNÄSHAMN SORUNDA-DYVIK GA:2
Basfakta
Pris
1 495 000 kr Utgångspris
Adress
Norra vägen 21C
Totalarea
1 727 kvm
Tomt/Mark
1 727 kvm
Ansvarig Mäklare

Extra kontaktperson


Anton Blom
Tipsa en vän
Karta





















